Tramvají až na Dědinu? Dopravní podnik získal stavební povolení na prodloužení trati

Autoři | Foto Metroprojekt

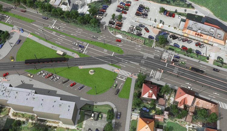
V budoucnu by se cestující v metropoli mohli svézt tramvají až na sídliště Dědina. Pražský dopravní podnik (DPP) totiž získal stavební povolení na prodloužení trati ze současné konečné stanice Divoká Šárka. Nová trať bude měřit 2,3 kilometru a bude na ní pět zastávek. Dopravní podnik na ni letos vypíše výběrové řízení. Podle plánu by se mělo začít stavět příští rok. Uvedla to mluvčí DPP Aneta Řehková. Náklady na výstavbu budou známy až po ukončení výběrového řízení. V minulosti stavbu kolejí provázely protesty části obyvatel Dědiny.

Nová trať a kapacitnější tramvajová doprava bude sloužit nejen Pražanům bydlících na Dědině, ale také obyvatelům nových obytných projektů, které v současnosti vznikají mezi Drnovskou ulicí a Pražským okruhem. A do budoucna zcela jistě i pro rozvojové území Nová Ruzyně, které přímo sousedí s novou tratí, jižně od Vlastiny ulice,“ uvedl generální ředitel DPP Petr Witowski.

„První cestující by se po nové trati mohli svézt na konci roku 2023“

Podnik chce tendr na zhotovitele vyhlásit co nejdříve. Dopravní podnik plánuje na jaře příštího roku uzavřít s vítězem smlouvu. Samotná stavba by pak měla trvat devatenáct měsíců.

Pokud se nám povede začít stavět příští rok v březnu, první cestující by se po nové trati mohli svézt na konci roku 2023,“ dodal Witowski.

Nová trať začne u smyčky Divoká Šárka, která zůstane i nadále v provozu. Odtud povedou koleje po Evropské a odbočí do Vlastiny ulice. Poté na jejím konci odbočí doprava do Drnovské ulice a povede do smyčky Dědinská, která bude ve směru z centra vlevo od Drnovské.

Také Vlastinu ulici čeká přeměna, v jejím středu bude stromořadí a od něj k oběma okrajům bude zatravněná tramvajová trať. Vedle se pak budou nacházet jízdní pruhy a místo pro podélné parkování aut. Na jižním okraji se ulice mírně rozšíří a ukrojí část sousedního areálu ve správě ministerstva obrany. Nové stromořadí se bude nacházet v úseku mezi Drnovskou ulicí a tramvajovou tratí. Dopravní podnik vysadí více než 170 nových stromů.

Pět párů zastávek

Na nové trati se bude nacházet pět párů zastávek. Ve směru od centra to budou nejdříve Divoká Šárka na Evropské ulici mezi křižovatkami s Libockou a Vlastinou ulicí. Poté ulice Vlastina před křižovatkou ulic Vlastina a U Silnice, Sídliště na Dědině u budovy nákupního centra a České pošty, předposlední bude Ciolkovského a konečná Dědinská.

Již v minulosti se proti prodloužení trati postavili někteří obyvatelé Dědiny, kteří se obávali například o úbytek zeleně nebo parkovacích míst.

V současné době buduje pražský dopravní podnik prodloužení trati z Barrandova do Holyně, která bude poté protažena do Slivence. Budována je rovněž nová smyčka na Zahradním Městě. Plánováno je prodloužení trati z Modřan na Libuše a v uplynulých měsících byla zprovozněna prodloužená trať z Pražského povstání na Pankrác.

Hodnocení článku je 80 %. Ohodnoť článek i Ty!

Chceš mít přehled o tom, co se děje kolem tebe?

Štítky ČR, MHD, stavby, tramvaje, Dopravní podnik hl.m.Prahy, Praha, Dopravní podnik hl. m. Prahy, Divoká Šárka, Petr Witowski, Česká pošta, Ministerstvo obrany České republiky, Pražský okruh, Ruzyně, stavební povolení

Komentáře

Přihlášení uživatele

Přihlásit se pomocí GoogleZaložením účtu souhlasím s obchodními podmínkami, etickým
kodexem
a rozumím zpracování osobních údajů dle poučení.

Zapomenuté heslo

Na zadanou e-mailovou adresu bude zaslán e-mail s odkazem na změnu hesla.

Pošli tip na kulturní akci

Publikace zaslané kulturní či sportovní akce není garantována a vždy o publikaci rozhoduje redakce.
Zasláním tipu do redakce zároveň deklaruji, že mám svolení s užitím fotografie.

* Soubor není povinné přikládat.
Napište první písmeno abecedy.

Odesláním formuláře souhlasím s obchodními podmínkami, etickým kodexem a rozumím zpracování osobních údajů dle poučení.

O jaký newsletter máte zájem?

Vyber jednu, nebo více možností a my se postaráme o to, aby do emailu přišly jen zprávy, které tě zajímají.

Napište první písmeno abecedy.